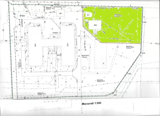
Участок 17 сот. (промназначения)
| Стоимость | 21 500 000 |
|---|---|
| Ремонт | Без отделки |
| Кадастровый номер участка | 86:11:0102002:232 |
| Ставка аукциона Cian на доп. площадках | {"18":""} |
| Целевое назначение (Гипернн) | производственный |
| Сет для YandexMarket | 5 |
| Категория земли | Земля промышленного назначения |
| Площадь участка, сот | 17 |
| Населенный пункт | Нижневартовск |
|---|---|
| Район города | 2-й микрорайон |
| Улица | улица Пионерская |
ПРЕДЛАГАЕМ К ПРИОБРЕТЕНИЮ ЗЕМЕЛЬНЫЙ УЧАСТОК В ЦЕНТРЕ ГОРОДА НИЖНЕВАРТОВСКА.
Земельный участок полностью в собственности
Присутствует вся необходимая документация и разрешения на использование земельного участи.
Также все документы подготовлены для проведения сделки купли продажи.
Участок 17 соток
Разрешенное использование земли под капитальное строительство
Жилое строительство и коммерческое
Многоэтажное жилая застройка от 9 этажей и выше
Средне этажная жилая застройка от 5 до 8 этажей
Общежитие от 5 этажей
Дошкольное, начальное, среднее образование от 3 этажей
Оказание социальной помощи населению
Оказание услуги связи
Банковское обслуживание, Банковское и страховое дело до 2 этажей
Государственные управления до 5 этажей
Амбулаторно-поликлиническое обслуживание до 2 этажей
Магазин до 2 этажей
Спортивный комплекс до 2х этажей
Хранение автомобилей до 2 этажей
Гостиница 2 этажа
Участок не включен в реестр объекте культурного наследия
К земельном участку имеются точки подключения к сетям водоснабжения и водоотведения.
Возможность приобретения в ипотеку
По всем остальным вопросам и документам обсудим при встречи









